Appel aux familles d'accueil Chatons à adopter Juniors à adopter Chats adultes à adopter Chiens à adopter NAC à adopter Nos conditions d'adoption A parrainer Animaux perdus Leur santé et leur sécurité Les animaux et la législation Nous aider Composition du bureau Mentions légales
Accueil Livre d'or Contact Album Liens

L’ Arche de Véra

Protéger, informer, fédérer

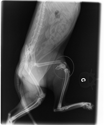
ZOE

Zoé née en 2016 a été percutée par une voiture. Le fémur a été pulvérisé. La pose de 3 broches a permis de réparer sa patte.Après un séjour en cage de convalescence pour éviter les sauts,  Zoé peut de nouveau marcher sans souffrir. Cette petite chatonne a été d’un courage et d’une patience exemplaires.

Zoé est très affectueuse, intelligente et enjouée.

Un grand merci à sa marraine de coeur.